Bottom 2 27 10

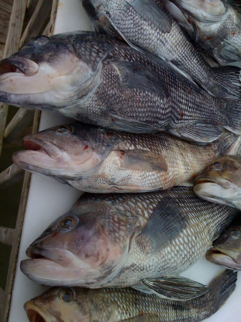
Yes we went today. Aboard PaPa’s Toy were good friends Mike & Bill along with myself Captain Rick. Had a great ride out today for about 20 miles ran about 40-mph then the slop started and when we got to the PL the waves were about 4 feet. Caught 3 limits of BIG BSB in 1 hour 40 min. Had a wet ride to the hill. Cold and wet but had a good day catching fish. Finally caught BSB on a jig. Going again on Monday if the forecast holds.

[

Nice job Mr. Rick. I’m going tomorrow.

PLUM CRAZY

26 REGULATOR/250’s

quote:
Originally posted by PaPas Toy

Yes we went today. Aboard PaPa’s Toy were good friends Mike & Bill along with myself Captain Rick. Had a great ride out today for about 20 miles ran about 40-mph then the slop started and when we got to the PL the waves were about 4 feet. Caught 3 limits of BIG BSB in 1 hour 40 min. Had a wet ride to the hill. Cold and wet but had a good day catching fish. Finally caught BSB on a jig. Going again on Monday if the forecast holds.

[

Tight Lines
Rick
Triton 351 triple 300
PaPasToy


Nice fish, happy fryin! Had some of that myself tonight. Good deal!

Matthew K. Mizell
Columbia, SC
Sea Pro 190CC
Johnson 115 4-Stroke

great job

17’5 basstracker
18 hammerhead 90rude cc
f*** work lets fish

that’s alot of frozen fish…I don’t mean to open a can of trouble…BUT I don’t know why people keep so many fish…I don’t mean to attack you and I do respect the limits put of DNR…but if you go often, why not just keep a few for a dinner or two. I know you post here often and I know you’re an avid fisherman…I like reading your posts and I have my flak jacket on. Either way you are within the law and I know you abide by it…

Why would you not? I don’t think they were out there for the sport…

Why would anyone put that much money into going offshore and only keep that night’s dinner? Maybe they should catch more than the two for dinner but return them all, since fish brought up off the bottom have such low mortality rates [insert sarcasm]. Why not freeze the excess to have dinners many other nights? What do you propose: buy the fish instead and let commercial fisherman do the catching? The fish have to be caught to be eaten.

Your argument makes more sense if you are talking about fishing that does not require as much money and time.

xHCFKx

IF you have a bunch of freezer burnt fish already then you may have an arguement BUT, I have lots of friends that are always helping me out from work, to home repairs, to car repair, to my buddy that works on our boat, to the baby sitter, to the in-laws, to the neighbors, to the boss man at work, to the church fish frys, to my mom and stepfather, and the list goes on and on. Networking, sharing what ever you want to call it, it is a way for me to say thank you the people that help me so much. We (wife and kids) eat fish a couple times a week. Instead of buying something from the grocery store we thaw out a pack.

Good day paps’s toy!!


If you can’t fix it with a hammer, you’ve got an electrical problem.

I have to agree with scoutin. People love fish and may not have the ways or the means to get em and for some folks, it really makes their day to get a pack or 2 of fresh fish.

GW 232GT Gulfstream
150Yam x 2
“3rd Day”
Gen. Chap.1 Vs.9-13

#667

GW 232GT Gulfstream
150Yam x 2
“3rd Day”
Gen. Chap.1 Vs.9-13

How long do you think that those blackfish fillets will last…I’ll bet they are gone in a week! If you did choose to freeze them, they are a white meat fish and freeze fine. I guess we will see you B -itching when the boys start catching Dolphin in a few months.

Nice to see someone got on them Papa!

.

NMFS = No More Fishing Season

“Back home we got a taxidermy man. He gonna have a heart attack when he see what I brung him”

Plums,…how did you guys do the last trip?
Working today, but wish I were out with you boys!
You may as well keep as many as you can,…in about two years, we’ll all be play fishing on the Wii.

THE BOTTOM LINE
“We catch and kill’em;…
gut</font id=“red”> and grill’em”</font id=“brown”>

quote:
Originally posted by crnawolfman

that’s alot of frozen fish…I don’t mean to open a can of trouble…BUT I don’t know why people keep so many fish…I don’t mean to attack you and I do respect the limits put of DNR…but if you go often, why not just keep a few for a dinner or two. I know you post here often and I know you’re an avid fisherman…I like reading your posts and I have my flak jacket on. Either way you are within the law and I know you abide by it…


Shut up please… My god. F’in democrat.

23’ Regulator
‘Big Tease’

I keep as many as I am allowed to catch…there is always a family member or friend that wants some fish… Also, I think that Rick (Papas Toy) holds a big fish fry for his church every year, everything from BSB to snapper, mahi, wahoo, and anything else he catches through out the year. I keep as much as I can because those offshore trips are not cheap.

20’ Proline Sport

I have NEVER had “freezer burnt” fish in my house and I have come back to the hill with my limit many a day.

“You are the offspring of 5 monkeys having But Secs with a retarded fish squirrel………. CONGRADULATIONS”!!!

don’t worry, I hear y’all and respect everyone’s opinion…BTW moderate Republican…and yeh you might hear me B**ch when the “he men” out of towners pose with their 30 fish which are gonna rot in their freezer.

Maybe he should have only kept 2 for himself and donated the rest to the homeless shelter [:0]

With foodsavers, no need to ever eat freezer burned fish ever! 30 Blackfish will feed my family of 5 for 6 meals. We eat fish often, so WHY NOT KEEP THE LIMITS?

PaPa, WAY TO GO MAN!!!

“The problem with socialism is that eventually you run out of other peoples money”

GW 205
F200 Yam

Brantley, we culled 3 limits of African grouper, a few Silvers, grunts, and one UGLY Toad Fish from 72 feet. I saved him for you.
I fished on the Blue Water Machine today. Great ride! Electronics out the A$$.

PLUM CRAZY

26 REGULATOR/250’s

Rick is a great guy, and in case you did not see what engines he has, it aint cheap for him to go out. Catch’em up Rick. RELEASE TO THE GREASE!!!

Tee To Sea Fishing
www.teetoseafishing.com
www.reelinupthecoast.com

GuyA, I’m a F’n Democrat and agree with keeping your limit if you can get it. Because like E said its expensive to get out there. And I love eatin fish!

Take’r Easy.